top of page
![Gullo-Logo-(2013-Cleanup)-[CMYK].jpg](https://static.wixstatic.com/media/44ad42_f274d6157c2746b1a71e2ad60236d662~mv2.jpg/v1/crop/x_0,y_0,w_1122,h_711/fill/w_130,h_82,al_c,q_80,usm_0.66_1.00_0.01,enc_avif,quality_auto/Gullo-Logo-(2013-Cleanup)-%5BCMYK%5D.jpg)
![Gullo-Logo-(2013-Cleanup)-[CMYK].jpg](https://static.wixstatic.com/media/44ad42_f274d6157c2746b1a71e2ad60236d662~mv2.jpg/v1/crop/x_0,y_690,w_1122,h_522/fill/w_197,h_91,al_c,q_80,usm_0.66_1.00_0.01,enc_avif,quality_auto/Gullo-Logo-(2013-Cleanup)-%5BCMYK%5D.jpg)
345 Richert Road
Wood Dale, IL 60191
Headquarter Building
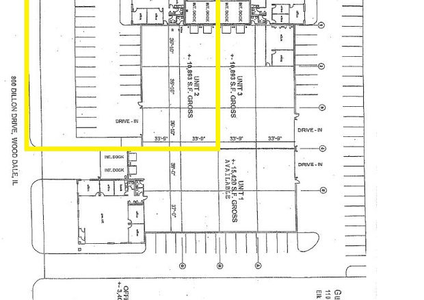
Ideal For Sales Office, Showroom & Warehouse
-
Land:
-
Building:
-
345 Richert Unit:
-
Total Office:
-
Warehouse:
-
Clear Height:
-
Car Parking:
-
Drive-In Door:
-
Interior Docks:
87,636 S.F. +/-
37,206 S.F. +/-
10,893 S.F. +/-
2,064 S.F. +/-
8,829 S.F. +/-
18' +/-
23 Stalls
1 (12' x 12')
2
-
200 Amps, 120/240 Volt, 3 Phase, 4 Wire
-
Dupage County
-
Gas Unit Heaters, Air Conditioned Office
-
Sprinklers
-
I-1 Industrial
Listing Sheet & Site Layout
bottom of page

